Hurricane Hunters Brave Monster Storm’s Eye
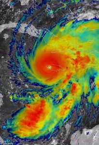
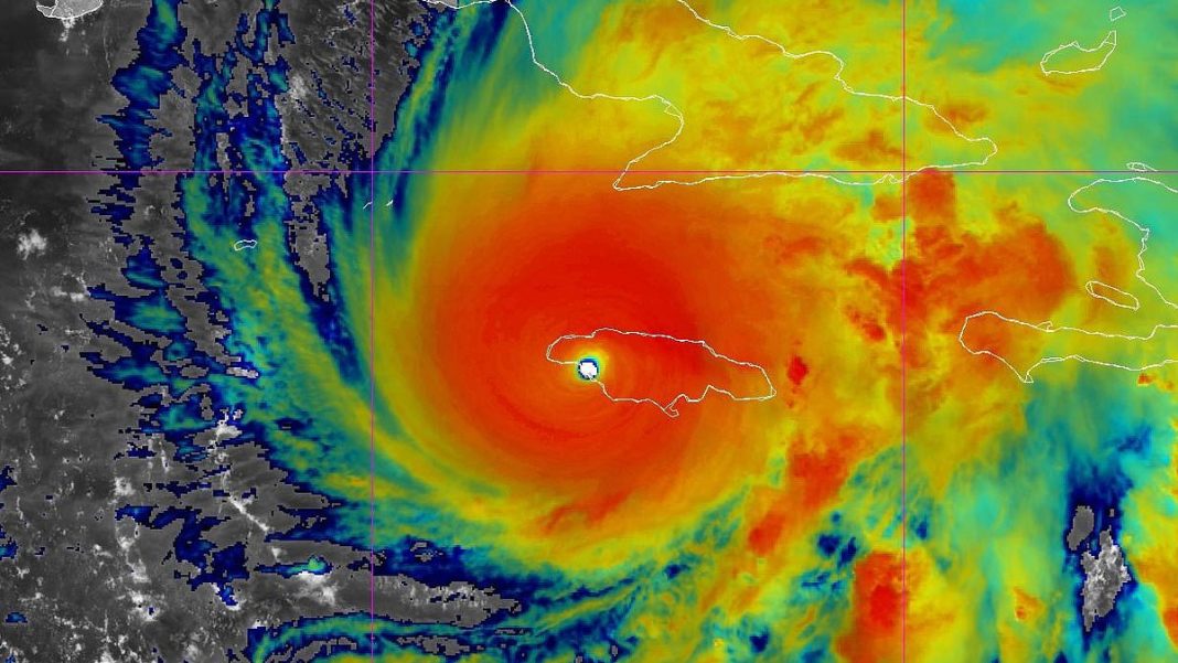
US Air Force Hurricane Hunters executed a daring mission, flying directly through Hurricane Melissa’s massive eye before the catastrophic storm made landfall in Jamaica. Multiple deaths have been reported as one of history’s strongest hurricanes batters the island with 185mph winds.
Key Developments
- Hurricane Hunters flew Super Hercules and WP-3D Orion aircraft through the storm
- Melissa struck Jamaica with 185mph winds, causing multiple fatalities
- Over 6,000 residents have evacuated to 382 shelters
- Storm surpasses Hurricane Katrina’s intensity
Daring Flight Mission
The 53rd Weather Reconnaissance Squadron flew a Super Hercules at 10,000 feet, crossing directly over Melissa’s eye. A second NOAA-operated WP-3D Orion conducted loops around the storm’s edge, collecting critical real-time data on wind speed, pressure, temperature and humidity.
This essential information helps the National Hurricane Center improve forecasts, enabling better evacuation planning and warnings to protect lives and property.
Aircraft Safety and Operations
The Air Force Reserve Hurricane Hunters confirmed the Super Hercules, call sign TEAL 75, returned safely despite experiencing “forces stronger than normal due to turbulence.” Standard safety procedures required inspection before the aircraft could return to operations.
The mission originated from multiple locations – the Super Hercules took off from Willemstad, Curaçao at 6am ET, while the WP-3D Orion departed Florida’s Lakeland Linder International Airport at 7:05am.
Storm Impact and Evacuation Efforts
Hurricane Melissa made landfall on Jamaica’s west coast around 1pm ET, moving northeast at 9mph. The storm’s intensity exceeds Hurricane Katrina, which caused $125 billion in damage and killed 1,392 people in 2005.
Local Government Minister Desmond McKenzie reported over 6,000 Jamaicans have taken shelter, though evacuation efforts in St. Elizabeth faced challenges with last-minute transportation requests as the hurricane approached.
‘St Elizabeth is of concern because I’m understanding that we are getting calls before we came on air of persons asking for transportation to be sent into various communities to transport persons out of those areas,’ McKenzie said.
Emergency officials attempted to provide transportation where needed, though evacuation systems were ultimately suspended as the hurricane drew closer to land.





